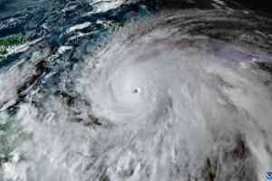
El Huracán Melissa tocó tierra en Jamaica como huracán de categoría 5 el martes 28 de octubre, y afectó seriamente el oeste de la isla, en especial las zonas turísticas (Montego Bay, Negril y Ocho Rios).
Melissa provocó lluvias torrenciales y vientos de hasta 295km/h en toda Jamaica, causando daños generalizados en carreteras e infraestructura, así como la interrupción del suministro eléctrico y otros servicios públicos. Muchos hoteles han cerrado por los daños en su infraestructura, vías de acceso, electricidad, agua potable, comunicaciones. Los servicios de emergencia todavía están comprometidos. Los servicios básicos y los aeropuertos aún no están funcionando con normalidad.
Si usted tenía pensado visitar próximamente Jamaica, le sugerimos reprogramar su viaje a Jamaica mientras dure la emergencia..
La página oficial del Ministerio de Turismo de Jamaica ofrece en ESTE ENLACE información actualizada sobre la situación en la isla.


